Home Blog Pagina 2596

Pagani, consegnati i lavori per il completamento della rete fognaria

Nuovi interventi sul territorio comunale di Pagani per il risanamento del bacino idrografico del fiume Sarno: un obiettivo su cui Gori è al lavoro in sinergia con Regione Campania ed Ente Idrico Campano.

Nell’ambito del progetto Energie per il Sarno, che punta a disinquinare il nostro corso d’acqua entro il 2025, si inseriscono anche i lavori per il completamento della rete fognaria nel comune di Pagani.

Ieri mattina, la firma del verbale di consegna da parte del Direttore dei Lavori, Ing. Carlo Antermite, del Responsabile del Procedimento, Ing. Domenico Tizzano, e del rappresentante legale del Raggruppamento Temporaneo di Imprese costituito tra S.I.A. s.r.l. (impresa mandataria), C.C. M. s.r.l. (impresa mandante) e GRUPPO ACQUE INTERNATIONAL s.r.l. (impresa mandante).

Le strade del comune di Pagani interessate dai lavori

San Giuseppe Vesuviano rete fognaria goriLe opere, finanziate dalla Regione Campania per 2.000.000 di euro e di cui Gori è soggetto attuatore, attraverso il completamento dei collettori comprensoriali e l’estensione della rete fognaria, consentiranno di portare a depurazione all’impianto di Angri i reflui provenienti da via Cesarano, via Leopardi, via Perone, Via Mangioni, traversa Mangioni, via Vicinale Filettine, traversa Seconda Filettine, via Corallo e via Lamioni.

Il progetto prevede, tra le altre cose, la realizzazione degli allacci alle utenze residenti, la realizzazione di un impianto di sollevamento in via Lamioni e l’attivazione di uno scaricatore di piena a Sant’Egidio del Monte Albino, in via Ippolito.

GORI - Progetto Energie per il SarnoL’impegno per il superamento dell’emergenza ambientale che interessa il fiume Sarno coinvolge anche le associazioni e i cittadini: visitando il portale energieperilsarno.it, è infatti possibile monitorare costantemente lo stato di avanzamento degli interventi, che permetteranno la chiusura di 113 scarichi in ambiente, l’estensione del servizio di fognatura a 88.000 abitanti e del servizio di depurazione a 421.000 abitanti.

Regole di comportamento: Come insegnarne il rispetto ai propri figli

0

L’apprendimento delle regole inizia fin da quando si è neonati. Infatti i bambini anche molto piccoli sono molto sensibili a percepire ciò che avviene nell’ambiente intorno a loro.

Si tratta di un apprendimento molto lungo, che prosegue nel tempo e che interessa tutta l’infanzia.

In questo lungo periodo il bambino impara a riconoscere i valori sociali e quelli pratici e sperimenta le relazioni con gli altri, dando ad esse il giusto valore.

Il tutto attraverso dei comportamenti ben precisi che bisogna imparare a riconoscere da parte dei genitori, per riuscire a gestirli nel migliore dei modi.

Ma come è possibile favorire l’apprendimento delle regole?

Come si può riuscire a fare in modo che il piccolo assimili le norme fondamentali di comportamento per un reciproco e armonioso relazionarsi con gli altri?

Vediamo di saperne di più.

L’apprendimento dei comportamenti tramite le domande

Mamma rilassata Depositphotos_41565323_LPer il genitore è fondamentale avere un supporto nell’aiutare l’apprendimento dei comportamenti e delle regole. Per questo si può fare riferimento alle informazioni che si possono trovare su Genitore Informato, corsi per genitori e guide online che intendono creare genitori capaci per crescere figli felici.

A volte, infatti, bisogna avere a che fare con degli atteggiamenti che potremmo definire provocatori, che poi si traducono in quelli che sono i classici capricci dei bambini. Per essere un genitore perfetto e poter celebrare con tranquillità la Giornata Mondiale dei Genitori, ritenendosi all’insegna della serenità, occorre riuscire ad interpretare i comportamenti dei bambini.

Infatti spesso i più piccoli si pongono con atteggiamenti di ribellione, che si traducono in vere e proprie domande su ciò che è lecito e ciò che non lo è. È proprio in questo modo che i più piccoli vogliono sperimentare l’apprendimento delle regole.

Infatti in questo caso, di fronte a veri e propri atteggiamenti di ribellione, i genitori non dovrebbero semplicemente sgridare i bambini, ma dare delle risposte ben precise.

Perché dire no ai bambini

A volte è importante anche dire di no. Magari i genitori possono fraintendere, perché ritengono che il non adattarsi ai desideri del figlio possa essere considerato un atteggiamento criticabile. Si ritiene erroneamente che il bambino possa rimanere ferito da un no che viene detto e che quindi può generare frustrazione.

In realtà non è esattamente così, perché, pur sperimentando la difficoltà di dire no, i genitori si relazionano con il figlio in un atteggiamento di crescita. Chiaramente i genitori possono avere varie paure che cambiano a seconda delle fasi di crescita, ma non è detto che un atteggiamento autorevole possa essere totalmente criticabile.

Infatti dire di no significa per il figlio, magari già adolescente, riuscire a sperimentare il confronto con le regole. Non si tratta di imporre un atteggiamento autoritario, ma si tratta di far capire che un no è dettato da una particolare e specifica motivazione.

Infatti i diversi no che come genitori si possono dire nelle varie fasi della vita possono essere molto differenti l’uno dall’altro. Per esempio nella seconda infanzia e nella preadolescenza il no corrisponde alle regole. Dare dei divieti in questa fase della vita può consentire ai ragazzi di orientarsi meglio nel mondo.

Quindi il no che si può dire in questa fase della vita da parte dei genitori è diverso da quello che si dice quando i bambini sono più piccoli, perché in questo caso vuole stimolare anche l’acquisizione di una maggiore autonomia.

È infatti proprio creando delle regole che si può definire uno spazio di separazione fra i genitori e i figli, spingendo questi ultimi a ricrearsi delle dimensioni di libertà, entro le quali possono agire in maniera più decisiva, assumendosi anche delle responsabilità che li aiuteranno nel corso della vita.

Colucci: “Importante l’atteggiamento positivo della Juve Stabia nonostante i carichi di lavoro”

Leonardo Colucci, tecnico della Juve Stabia, ha rilasciato alcune dichiarazioni ai microfoni ufficiali al termine dell’allenamento congiunto delle Vespe contro l’ASD Polisportiva Vastogirardi terminato col punteggio di 2-0.

Le dichiarazioni di Leonardo Colucci sono state raccolte e sintetizzate dalla redazione di ViViCentro.it.

“L’atteggiamento è positivo di una squadra che è andata a prendere l’avversario nonostante i carichi di lavoro di questi ultimi giorni perchè abbiamo lavorato come se oggi non fosse prevista la partita. Al di là della vittoria l’atteggiamento è stato positivo contro il Vastogiradi che non è male come squadra. Ci sono indicazioni positive e anche negative che andremo a correggere. 

Conosco l’allenatore Coletti del Vastogirardi che è un bravo allenatore e che fa giocare bene le sue squadre. Ho chiesto ai ragazzi di fare una pressione ultra offensiva anche se alcune volte ci scoprivamo un pò. Una partita bella intensa è più importante di dieci allenamenti. 

colucci juve stabia

Dico ai ragazzi che bisogna apprendere una nozione al giorno come a scuola e poi ne fai tesoro. Non vediamo l’ora di allenarci di fronte ai nostri tifosi – conclude Colucci – appena finirà il ritiro e torneremo a Castellammare al Menti”. 

Lega Pro, slittano i calendari a data da destinarsi: in giornata erano stati stilati i gironi

Lega Pro, nella giornata in cui erano stati definiti i tre gironi con le riammissioni di Fermana e Torres, slittano a data da destinarsi i calendari in quanto le escluse Teramo e Campobasso hanno preannunciato ricorso al Consiglio di Stato.

Il ricorso al Consiglio di Stato fa scattare in automatico la sospensiva che blocca quindi la definizione dei calendari che era prevista per domani 5 agosto (dopo già un precedente rinvio).

Di seguito la nota ufficiale della Lega Pro che ufficializza il rinvio della data del sorteggio dei calendari che dovrebbe avvenire non prima del prossimo 25 agosto (data in cui arriverà la sentenza del Consiglio di Stato) con possibile slittamento anche dell’inizio del campionato previsto per il 28 agosto.

“Facendo seguito al decreto del Presidente della Sez. Quinta del Consiglio di Stato, Luciano Barra Caracciolo, che in data odierna ha previsto di “temporaneamente sospendere la mancata ammissione (“Licenza”) al Campionato della ricorrente (Campobasso Calcio), in vista della camera di consiglio del 25 agosto 2022, nella quale l’istanza cautelare potrà essere esaminata collegialmente, nel dovuto contraddittorio”, la Lega Pro si vede obbligata a prenderne atto e conseguentemente a rinviare a data da destinarsi la compilazione dei Calendari del Campionato Serie C 2022/2023.

I club di Lega Pro continuano a subire un danno rilevantissimo e pertanto si auspica che la questione possa essere definita prima della data del 25 agosto p.v.”. 

talento pallone Lega Pro
Foto: lega-pro-com

In mattinata nel frattempo erano stati definiti i tre gironi. Decisione a questo punto sub-iudice perchè bisognerà attendere la sentenza del Consiglio di Stato a cui sia Teramo che Campobasso hanno presentato ricorso.

Di seguito la composizione dei tre gironi di Lega Pro 2022-2023.

Girone A
Albinoleffe
Arzignano Valchiampo
Feralpisalò
Juventus U23
LR Vicenza
Lecco
Mantova
Novara
Padova
Pergolettese
Piacenza
Pro Patria
Pordenone
Pro Sesto
Pro Vercelli
Renate
Sangiuliano
Trento
Triestina
Virtus Verona

Girone B
Alessandria
Ancona
Aquila
Montevarchi
Carrarese
Cesena
Fermana
Fiorenzuola
Gubbio
Imolese
Lucchese
Olbia
Pontedera
Recanatese
Reggiana
Rimini
San Donato Tavarnelle
Siena
Torres
Virtus Entella
Vis Pesaro

Girone C
ACR Messina
Audace Cerignola
Avellino
Catanzaro
Crotone
Fidelis Andria
Foggia
Gelbison
Giugliano
Juve Stabia
Latina
Monopoli
Monterosi Tuscia
Pescara
Picerno
Potenza
Taranto
Turris
Virtus Francavilla
Viterbese

 

Controlli Polizia; agenti in servizio a Ponticelli

Controlli Polizia da parte del Commissariato Ponticelli e della Polizia Municipale in un servizio straordinario di controllo del territorio

Controlli Polizia; l’inizio

Giornata di gran lavoro per gli agenti di Polizia affiliati al Commissariato di Ponticelli.

I poliziotti hanno effettuato un’operazione straordinaria in di controllo del territorio in collaborazione col Reparto Prevenzione Crimine Campania e l’Ufficio Prevenzione Generale nel quartiere della provincia di Napoli.

Gli esiti

Durante le operazioni di controllo sono state identificate 191 persone tra le quali ben 64 con precedenti di polizia.

Castellammare di Stabia, controlli polizia
(foto d’archivio)

Controllati inoltre 121 veicoli, dei quali 4 sottoposti a fermo amministrativo e 5 sottoposti a sequestro.

Gli agenti hanno contestato 19 violazioni del Codice della Strada per diverse motivazioni.

Si passa dalla mancata esibizione dei documenti e dal mancato utilizzo della cintura di sicurezza, per poi arrivare alla mancanza di copertura assicurativa e alla guida senza patente.

Scoperte in viale Miranda 4 piantine di marijuana e diverse centinaia di capi d’abbigliamento contraffatto.

Nella stessa strada, i poliziotti hanno denunciato un 39enne napoletano per detenzione ai fini di spaccio di stupefacenti in quanto scoperto in possesso di 34 grammi di hashish.

Infine, gli agenti hanno effettuato una perquisizione in via Lombardi Vera, dove hanno trovato una beretta calibro 9×21 e 33 cartucce che è poi risultata essere rubata.

Il proprietario dell’abitazione, un 57enne napoletano, è stato denunciato per detenzione abusiva di arma da fuoco e ricettazione.

Controlli Polizia; agenti in servizio a Ponticelli/Antonio Cascone/redazionecampania

Juve Stabia, Carbone e Della Pietra firmano la vittoria per 2-0 contro il Vastogirardi, squadra di Serie D

Juve Stabia, secondo allenamento congiunto oggi per le Vespe contro l’ASD Polisportiva Vastogirardi, squadra militante nel campionato di Serie D. Si alza quindi leggermente l’asticella delle difficoltà per le Vespe di mister Colucci dopo aver battuto domenica il Delfino Curi Pescara per 3-0, squadra militante nel campionato di Eccellenza Abruzzo.

La Juve Stabia scende in campo con Pozzer in porta; linea difensiva ancora una volta a quattro con Peluso a destra, Dell’Orfanello a sinistra, centrali difensivi Denis Tonucci e Marco Caldore; centrocampo a tre con Maselli play supportato da Ricci a destra e da Altobelli a sinistra; in attacco Pandolfi riferimento centrale con D’Agostino a destra e Bentivegna a sinistra. Consueto modulo tattico 4-3-3 quindi già utilizzato da mister Colucci già nel primo allenamento congiunto di domenica scorsa.

Rispetto quindi alla precedente gara c’è Ricci schierato sulla linea dei centrocampisti al posto di Scaccabarozzi e D’Agostino schierato da esterno offensivo di destra proprio in luogo di Ricci che aveva giocato in quella posizione nella prima gara. Pozzer in porta al posto di Russo.

LA CRONACA DEL PRIMO TEMPO DEL MATCH TRA JUVE STABIA E ASD POLISPORTIVA VASTOGIRARDI.

Juve Stabia subito pimpante sin dai primi minuti e dopo qualche pericolo portato al Vastogirardi da azione di calcio d’angolo, al 12° è Bentivegna, tra i più attivi, a colpire in pieno la traversa piena da una punizione dal limite battuta di destro.

Al 24° occasionissima per la Juve Stabia con Pandolfi che servito molto bene sotto misura si fa ribattere dal portiere la conclusione e sulla ribattuta non è più bravo Maselli a tentare la via della rete. Qualche istante prima era stato ancora una volta Bentivegna a rendersi molto pericoloso ancora su punizione dal limite.

Juve Stabia che non riesce a sbloccare il risultato pur dominando il match con un gioco ad alta intensità e facendo un ottimo pressing che mette sovente in difficoltà la costruzione dal basso dei difensori del Vastogirardi.

Nel finale di primo il Vastogirardi prende coraggio mettendo qualche volta la testa dalle parti di Pozzer ma senza grossi pericoli per la Juve Stabia.

Nel primo tempo che si chiude sullo 0-0, Juve Stabia pericolosa in almeno 5 occasioni tra cui la traversa dal limite su punizione di Bentivegna ma la prima frazione di gioco dimostra che c’è ancora tanto da lavorare per mister Colucci nel contesto di una rosa che, per ammissione dello stesso ds Di Bari, è ancora da completare in vista del prossimo campionato di Lega Pro.

LA CRONACA DEL SECONDO TEMPO DELL’ALLENAMENTO CONGIUNTO TRA JUVE STABIA E ASD POLISPORTIVA VASTOGIRARDI.

Nel secondo tempo a sorpresa rientrano gli stessi dieci giocatori di movimento per la Juve Stabia e c’è un solo cambio in porta, Danilo Russo al posto di Giacomo Pozzer. Colucci vuole far mettere più benzina nelle gambe all’undici che in questo momento probabilmente da più garanzie in vista dei prossimi impegni delle Vespe.

Dopo pochi minuti Maselli pesca con un bel filtrante Ricci che va al tiro ma la palla viene deviata in angolo. Al 9° Bentivegna da sinistra va al cross per D’Agostino che al volo mette alto sulla traversa. Un minuto dopo ancora Bentivegna, migliore in campo per i suoi, cerca di servire in area D’Agostino ma la palla viene rinviata all’ultimo istante da un difensore del Vastogirardi.

Al quarto d’ora si vede anche il Vastogirardi in area della Juve Stabia in un’azione di rimessa ma Danilo Russo fa buona guardia.

Due minuti dopo è Pandolfi a sprecare una favorevolissima occasione per la Juve Stabia. Complice un errato disimpegno della difesa avversaria, Pandolfi brucia sullo scatto l’avversario e si presenta tutto solo davanti al portiere Petriccione del Vastogirardi ma il tiro debole viene rinviato proprio sulla linea di porta da un difensore avversario.

Ad un quarto d’ora dalla fine arriva la girandola delle sostituzioni per la Juve Stabia. Per le Vespe resta in campo solo Tonucci mentre entrano in campo per la difesa Boccia, Cinaglia e Todisco; a centrocampo entrano Scaccabarozzi, Schiavi e Carbone mentre in attacco Della Pietra, Guarracino a sinistra e Barlafante a destra. In porta Sarri al posto di Russo.

Al 32° gol annullato alla Juve Stabia. Era stato Della Pietra a mettere la palla in rete dopo una bella azione in area di rigore di Federico Barlafante ma l’arbitro annulla per una posizione di fuorigioco dello stesso Della Pietra.

Juve Stabia in vantaggio al 35°: cross pennellato da Jacopo Scaccabarozzi a coronamento di una bella azione personale sulla fascia destra e il centrocampista Lorenzo Carbone di testa mette la palla in rete per il vantaggio delle Vespe.

La premiata ditta Guarracino-Barlafante-Della Pietra confeziona anche il raddoppio della Juve Stabia. Sulla fascia destra Guarracino e Barlafante sfornano un bell’assist per l’accorrente Della Pietra che mette in rete di piatto destro.

Nel finale gran tiro di Guarracino di destro al 40° con la palla di poco fuori. Nei minuti finali fa il suo ingresso in campo tra le Vespe anche Bilal Erradi. Il Vastogirardi va vicino alla rete al 45° con un bel colpo di testa su azione di angolo battuto dalla sinistra.

La Juve Stabia vince per 2-0 contro il Vastogirardi. Una gara dominata sul piano del possesso palla e del palleggio da parte delle Vespe ma è singolare che la Juve Stabia sia riuscita a sfondare solo quando sono entrate in campo le seconde linee. Per 75 minuti mister Colucci ha lasciato in campo quelli che ritiene diano le maggiori garanzie in questo momento ma la vittoria arriva solo grazie ai subentrati Carbone e Della Pietra.

Lunedì prossimo si replica a Pozzuoli allo stadio “Conte” con il terzo allenamento congiunto stavolta contro la Puteolana sempre alle 17:30.

 

 

 

 

 

Givova Scafati, c’è anche la firma dell’americano Thompson

0

La società gialloblu annuncia uno degli ultimi acquisti dell’estate. Ufficiale la firma del centro statunitense classe 1994.

La Givova Scafati ufficializza la firma sul contratto del centro statunitense Trevor Thompson. Atleta con una ricca esperienza in giro per l’Europa, dal fisico possente, ha tra le sue caratteristiche la capacità di recuperare rimbalzi, di riempire l’area e di avere un rendimento difensivo importante, oltre ad una buona mano da sotto e ottimi fondamentali nei movimenti spalle a canestro, compreso un sapiente uso del piede perno.

Il pivot classe 1994 farà parte del gruppo agli ordini di coach Alessandro Rossi, che si riunirà martedì 16 agosto per il raduno precampionato al PalaMangano. Un altro importante tassello per rendere ancora più competitivo il team scafatese in vista della complicata stagione in Serie A.

Calendario LBA 22/23: la Givova Scafati partirà da Venezia

TREVOR THOMPSON: DA LONG ISLAND, IN GIRO PER IL VECCHIO CONTINENTE

Alto 210 cm per 113 kg di peso, Trevor Thompson è nato a Long Island (New York) il 12 giugno del 1994 e si è formato cestisticamente prima presso l’università di Virginia Tech (2013/2014) e poi a quella di Ohio State (dal 2014 al 2017), chiudendo la sua esperienza in NCAA con 10,6 punti e 9,2 rimbalzi di media in 32 incontri disputati.

Trevor Thompson, nuovo giocatore Givova Scafati

Nel 2017/2018 ha difeso i colori dei Santa Cruz Warriors in G-League, mentre la stagione successiva ha inaugurato la sua esperienza europea con gli Sharks Antibes in Francia (9,5 punti e 5,3 rimbalzi di media), per poi concluderla in Belgio con la casacca dei Telenet Giant Antwerp. La sua esperienza nel nuovo continente è poi proseguita nel 2019/2020, prima nel campionato lituano, con il Pieno Zvaigzdes Pasvalys (7,1 punti e 6,6 rimbalzi di media), e poi in Repubblica Ceca, con il Dekstone Turi Svitavy (9 punti e 3,5 rimbalzi di media).

Nel 2020/2021 è ritornato in Belgio per militare nelle fila del Kangoeroes Basket Mechelen (14 punti e 9 rimbalzi di media), mentre la scorsa stagione agonistica ha iniziato in Polonia con il Twarde Pierniki Torun (12,5 punti e 8,4 rimbalzi di media) e chiuso in Croazia con il KK Zadar (10,9 punti e 6 rimbalzi di media).

LE DICHIARAZIONI

Queste le prime parole dell’atleta made in USA da giocatore della Givova Scafati: «Quello italiano è uno dei campionati nazionali più difficili d’Europa e sono pronto a mettermi alla prova contro alcuni dei migliori giocatori in circolazione. Non vedo l’ora di iniziare a lavorare con la squadra e vincere le partite. Sono sicuro che faremo ottime cose. Ho sentito parlare tanto anche dei tifosi molto bene dell’ambiente, della città e del club. Sono certo che mi troverò benissimo».

Gli fanno ruota le dichiarazioni del GM Gino Gustaferro: «Trevor è la torre che volevamo sotto canestro, è un atleta dalla grande forza fisica ed energia, viene da un buon campionato con lo Zadar, ha sempre avuto buoni numeri e credo ci possa dare una grossa mano sotto i tabelloni».

Juve Stabia, Guido Davì rescinde il contratto con le Vespe

Juve Stabia, Guido Davì rescinde il suo contratto con le Vespe. Si conclude così la sua terza esperienza con la maglia gialloblè della Juve Stabia.

LA CARRIERA DI GUIDO DAVI’ CON LE SUE ESPERIENZE TRA LE FILA DELLA JUVE STABIA.

Davì inizia la sua sua lunga carriera nelle giovanili del Palermo prima di passare alla Juve Stabia di Piero Braglia nella stagione 2010-2011 ed essere uno dei protagonisti della lunga cavalcata che culminerà con la promozione in Serie B con lo storico spareggio playoff contro l’Atletico Roma del 19 giugno 2011. Quell’anno per Davì in gialloblè anche la conquista della Coppa Italia di C.

Nella prima stagione in gialloblè per Davì 21 presenze con la maglia della Juve Stabia. L’anno dopo in B solo 8 le sue presenze.

Nel 2012 il passaggio al Benevento con 25 presenze in Serie C1. Poi ancora un passaggio tra le Vespe nell’anno della retrocessione 2013-2014 con sole 5 presenze prima di tornare a gennaio 2014 al Benevento.

Seguono due anni e mezzo al Bassano con cui incrocia anche la Juve Stabia in un playoff infuocato giocato in Veneto nel giugno 2015 e vinto dal Bassano grazie allo scandaloso arbitraggio del sig. Serra di Torino.

Nel 2016-2017 il passaggio alla Feralpisalò prima di tornare nella sua Sicilia alla Sicula Leonzio nel 2017-2018 con 25 presenze e un gol.

Gli ultimi tre anni per Guido Davì prima del ritorno alla Juve Stabia sono stati caratterizzati dal Gubbio con cui gioca sei mesi da gennaio 2019 (18 presenze), prima del biennio al Modena da protagonista con 45 presenze complessive negli ultimi due campionati.

Juve Stabia - Monterosi Tuscia Calcio Serie C 2021-2022 (50)

Positivo il contributo di Guido Davì nell’ultimo anno con le Vespe. A dispetto dei suoi 32 fa sempre fatto sentire il suo peso a centrocampo sciorinando quasi sempre delle più che buone prestazioni.

Personalità, grinta, carattere, determinazione abbinate ad un’ottima base tecnica hanno fatto sì che Davì eccellesse in gialloblè soprattutto nella prima parte del campionato.

Davì non ha mai tirato il piede indietro nei contrasti ma soprattutto ha dato ottime geometrie al centrocampo delle Vespe esaltandosi sia nella fase passiva di interdizione che in quella propositiva di costruzione del gioco.

DI SEGUITO IL COMUNICATO UFFICIALE CON CUI LA JUVE STABIA RENDE NOTA LA RESCISSIONE CONTRATTUALE CON GUIDO DAVI’.

“La S.S. Juve Stabia comunica la risoluzione contrattuale con il centrocampista, classe ‘90, Guido Davì.

A Guido, uomo e professionista esemplare, vanno i ringraziamenti per quanto fatto con la Nostra maglia e i migliori auguri per il futuro.

S.S. Juve Stabia”. 

Partita la Pelosi iniziate esercitazioni militari Cinesi intorno a Taiwan

TAIPEI, Taiwan — Giovedì la Cina ha iniziato esercitazioni militari su larga scala intese a punire Taiwan per aver ospitato la presidente della Camera degli Stati Uniti Nancy Pelosi, portando le tensioni attraverso lo Stretto al livello più alto degli ultimi decenni.

Partita la Pelosi iniziate esercitazioni militari Cinesi intorno a Taiwan

TAIPEI, Taiwan – L’emittente statale cinese CCTV ha dichiarato giovedì che le manovre militari sono iniziate nello Stretto di Taiwan, con il comando del teatro orientale dell’Esercito popolare di liberazione che ha effettuato esercitazioni a fuoco vivo a lungo raggio e “attacchi di precisione” sulle parti orientali del corso d’acqua.

Stando al quanto ha riferito la Reuters, citando una fonte anonima informata sugli sviluppi, da mercoledì notte, a mezzogiorno di giovedì, circa 10 navi della marina cinese hanno attraversato la linea mediana dello Stretto di Taiwan, mentre gli aerei militari cinesi, giovedì mattina, hanno anche attraversato il confine non ufficiale.

Inoltre, secondo il ministero della Difesa di Taiwan, il giorno prima, durante la visita di Pelosi, 22 aerei militari cinesi hanno violato la linea mediana.

La visita di Taiwan di Pelosi inaugura una nuova fase della campagna di pressione cinese.

Funzionari taiwanesi hanno affermato che le forze armate dell’isola stanno operando come al solito per monitorare le aree circostanti:

“Non cerchiamo alcuna escalation, ma non ci fermiamo quando si tratta della nostra sicurezza e sovranità”

E’ dunque certo che la visita di Pelosi a Taiwan ha fatto infuriare i leader cinesi, che hanno visto la delegazione di alto livello come una violazione dei diritti territoriali della Cina e un’inutile provocazione in mezzo al deterioramento delle relazioni USA-Cina.

Il Partito Comunista al governo in Cina non ha mai governato Taiwan, ma Pechino afferma che l’isola, de facto indipendente, è una parte inalienabile del suo territorio e minaccia di impossessarsene con la forza.

Il ministero della Difesa cinese ha pubblicato su Twitter:

#PLA will conduct important military exercises and training activities including live-fire drills in six regions surrounding the #Taiwan island from Thursday to Sunday. @globaltimesnews
Il ministero della Difesa cinese ha pubblicato su Twitter

In risposta alla visita di Pelosi in questa settimana, le autorità cinesi hanno annunciato esercitazioni militari in sei aree intorno a Taiwan.

Esercitazioni previste dopo la partenza del Democratico della California, segno che Pechino sperava di evitare il confronto diretto con gli Stati Uniti anche se Xiang ha spiegato che il ritardo nell’inizio delle esercitazioni, piuttosto che un tentativo di evitare il confronto diretto con gli Stati Uniti, è una questione di norme internazionali che richiedono 24 ore per modificare le rotte marittime.

Le esercitazioni proseguiranno fino a domenica.

Dopo visita di Pelosi esercitazioni militari Cinesi intorno a Taiwan (foto da FB agenzianova.com)Esperti militari cinesi hanno descritto questa misura come un modo per dimostrare la capacità dei militari di prendere di mira le truppe taiwanesi che operano dalle basi di Hualien e Taitung.

Le sei zone di esercitazione prendono di mira Taiwan da tutte le direzioni e per la prima volta includono un’area a est dell’isola .

Intanto, sulla CCTV, esperti militari cinesi hanno affermato che le zone di esercitazione avevano lo scopo di mostrare la capacità della Cina di controllare il punto più stretto dello Stretto di Taiwan, nonché il punto in cui il Canale di Bashi incontra l’Oceano Pacifico e le rotte marittime dai porti di Keelung e Kaohsiung.

Taylor Fravel, direttore del programma di studi sulla sicurezza presso il Massachusetts Institute of Technology, ha affermato:

“È abbastanza chiaro che simuleranno come potrebbero bloccare Taiwan in futuro”

Meng Xiangqing, direttore dell’Istituto di ricerca strategica dell’Università per la difesa nazionale gestita dall’EPL, ha descritto l’approccio come “chiudere la porta e picchiare il cane” (ALIAS: Quando il cane fa qualcosa di male, è importante punirlo nel modo giusto per fargli capire che …; e così imparerà a non abbaiare più quando suonano alla porta).

Il Global Times, un tabloid nazionalista statale, ha citato un anonimo esperto militare cinese dicendo che le esercitazioni sarebbero state un “nuovo inizio” per le esercitazioni dell’EPL intorno a Taiwan, che non sarebbero state limitate alle loro aree precedenti e che avrebbero “regolarmente avuto luogo alle porte di Taiwan”.

Le esercitazioni, rispetto a precedenti simili durante l’ultima crisi dello Stretto di Taiwan nel 1995-1996, si stanno svolgendo più vicino a Taiwan.

All’epoca, come rappresaglia per una visita dell’allora presidente Lee Teng-hui negli Stati Uniti, la Cina aveva lanciato missili che erano ammarati vicino ai porti di Keelung e Kaohsiung

Fonte: , e / whascingtonpost

 

VICO EQUENSE, Monte Faito: Continua l’Operazione Green Life. VIDEO

VICO EQUENSE, Monte Faito: Continua l’Operazione Green Life. Carabinieri sequestrano un fucile e decine di cartucce. Denunciato un 59enne per una bomba. VIDEO

VICO EQUENSE, Monte Faito: Continua l’Operazione Green Life. VIDEO

I baschi rossi dei carabinieri dello squadrone eliportato cacciatori di Puglia continuano a supportare i colleghi delle stazioni del comando provinciale di Napoli, nell’ambito dell’operazione Green Life.

Questa volta siamo nel comune di Vico Equense, non lontano dai Monti lattari ma in località Monte Faito.

I militari della locale stazione hanno approfittato delle capacità di adattamento dei cacciatori nelle aree boschive per setacciare i luoghi più inospitali del territorio.

E così, in un fondo, nascosto sotto terra, hanno rinvenuto un fucile Benelli calibro 12, oggetto di furto.

Con l’arma anche 28 cartucce a palla singola.

In un terreno riconducibile ad un 59enne del posto hanno poi trovato un ordigno esplosivo improvvisato e alcune proiettili cal 12 e 22. L’uomo è stato denunciato.

La bomba, capace di distruggere un’auto, è stata neutralizzata in loco da carabinieri dell’aliquota artificieri anti-sabotaggio del reparto operativo di Napoli.

I controlli continueranno anche nei prossimi giorni

Riso Fritto al Prosciutto e Lavanda

La ricetta di oggi, Riso Fritto al Prosciutto e Lavanda,  è una di quelle che potrebbe essere classificata anche come una “ricetta di recupero” perché, se hai del riso cotto avanzato a portata di mano puoi trasformarlo, con questa ricetta, rapidamente in un pasto o in un contorno (utilizzando la quantità minore degli ingredienti indicati).

Riso Fritto al Prosciutto e Lavanda

IngredientiINGREDIENTI
(4 – 5 persone)

  • 3 – 4 cucchiai di olio di cartamo, olio di sesamo o altro olio vegetale
  • 2 tazze di scalogno affettato sottilmente (parti bianche e verdi),
  • 3 cucchiai di scalogno tritato grossolanamente (parti bianche e verde chiaro), per guarnire (facoltativo)
  • 2 tazze di sedano tritato
  • 1 tazza di peperone rosso senza semi e tritato
  • 2 – 2,5 cucchiaini di spighe di lavanda culinarie fresche tritate finemente (teste fiorite) o boccioli di lavanda culinari essiccati macinati grossolanamente
  • 2 – 2,5 cucchiaini di radice di zenzero fresca sbucciata tritata o grattugiata
  • Da 2 a 3 tazze di prosciutto cotto a fette spesse e tagliate grossolanamente o bistecca di prosciutto precotta (2 fette)
  • 5 tazze di riso bianco o integrale a grana lunga cotto e raffreddato (240 g circa)
  • 1 tazza di uvetta senza semi dorata o scura o una combinazione
  • Da 5 a 6 cucchiai di salsa di soia a basso contenuto di sodio o più se necessario
  • Da 1/2 a 1 cucchiaino di pepe nero appena macinato
  • 3 cucchiai di arachidi o anacardi salati, per guarnire (facoltativo)
  • 2 pizzichi di sale (facoltativo)

Preparazione, cucinaINDICAZIONI

 

  1. Scalda l’olio in una padella capiente o wok a fuoco medio-alto.
  2. Quando l’olio sarà luccicante, aggiungi nella tazza lo scalogno affettato, il sedano, il peperone, la lavanda, lo zenzero e il prosciutto
  3. Cuoci, mescolando spesso.
  4. Incorpora accuratamente il riso, l’uvetta, 2 1/2 cucchiai di salsa di soia e il pepe nero (a piacere).
  5. Continua la cottura, mescolando, per 3-4 minuti, finché le verdure non saranno croccanti e il riso non sarà ben cotto.
  6. Assaggia e aggiungi altra salsa di soia, se necessario.
  7. Trasferisci in una ciotola da portata o dividi nei singoli piatti.
  8. Guarnisci con scalogno tritato e arachidi o anacardi, se utilizzati.

Servi subito.

Riso Fritto al Prosciutto e Lavanda

Meteo Nazionale: Prime conferme in vista del primo fine settimana di Agosto

Meteo Nazionale: Weekend, Italia tra Caldo rovente e forti temporali improvvisi; le previsioni per Sabato e Domenica

Leggi anche:

Meteo Nazionale: Prime conferme in vista del primo fine settimana di Agosto

Meteo Nazionale Prime conferme in vista del primo fine settimana di AgostoArrivano le prime conferme in vista del primo weekend di Agosto; l’Italia si troverà divisa in due dal punto di vista atmosferico, strattonata da una parte da forti ed improvvisi temporali e dall’altra dalla costante presenza dell’anticiclone africano.

Insomma un fine settimana più movimentato rispetto all’ultimo periodo con effetti diversi tra Sabato 6 e Domenica 7 Agosto.

Gli ultimi aggiornamenti hanno confermato che nel fine settimana dovremo ancora fare i conti con il temibile anticiclone africano che sta per provocare un’ondata di caldo con valori termici diffusamente oltre le medie.

Anche il weekend si aprirà quindi con una prevalenza di sole su buona parte dei settori; vista l’origine sub-tropicale delle masse d’aria ci attendiamo infatti una nuova impennata delle temperature, specie in Liguria, sui settori tirrenici del Centro-Sud e sulle due Isole maggiori: ciò si tradurrà in nuove fiammate con i termometri pronti a schizzare oltre i 34/35°C.

C’è un altro aspetto da tenere in considerazione: la forte calura di questi giorni aumenterà il rischio dell’improvviso scoppio improvviso dei classici temporali di calore grazie anche ad una leggera flessione della pressione atmosferica, un fenomeno classico dell’estate e di difficile previsione, se non nell’immediatezza dell’evento.

Il loro innesco è legato ai moti convettivi che contraddistinguono una fase meteo molto calda tra il pomeriggio e la sera: ovvero aria calda e umida che sale e che si raffredda condensandosi in maestose nubi torreggianti.

In pratica, il forte riscaldamento diurno permette la risalita di “bolle di aria calda” (definite termiche in termine tecnico) che, se trovano le condizioni adatte (strati più freschi dell’atmosfera in quota), riescono a dare vita a quelle nubi cumuliformi che poi generano il temporale.

A maggior rischio secondo gli ultimi aggiornamenti, potrebbero essere, specie Sabato 6, le vallate alpine tra Piemonte, Valle D’Aosta, Lombardia, Veneto e Trentino Alto Adige; non escludiamo che qualche temporale possa estendersi fin verso le pianure limitrofe. Attenzione poi anche alle zone interne di Liguria e alta Toscana e tra Basilicata e Calabria dove potrebbero innescarsi degli isolati e rapidi rovesci.

Va detto, tuttavia, che fenomeni di questo tipo, pur potendo risultare localmente intensi, non durano molto e quindi non sono destinati a rovinare giornate intere.

Domenica 7 avremo ancora la possibilità di temporali sull’arco alpino e sulle pianure del Nord a causa dell’ingresso di correnti più instabili in quota in discesa dall’Europa nordorientale; vista la tanta energie potenziale in gioco non escludiamo il rischio di locali grandinate specie al Nord Ovest.

Discorso diverso invece sul resto del Paese dove l’anticiclone dovrebbe garantire una maggior stabilità atmosferica a garanzia di tempo soleggiato con temperature nuovamente oltre i 30-32°C durante le ore pomeridiane.

L’Estate è partita col botto, una nuova terribile ondata di caldo è imminente ad Agosto dopo una brevissima tregua.

Durerà veramente per altri due mesi ininterrotti come molti sostengono o no?

Meteo Nazionale Agosto, potrebbe piovere da Lunedì 8 in poiLe previsioni a lungo termine, sebbene siano più attendibili che in passato, restano tuttavia alquanto fallaci: ad ogni modo indicano un prosieguo della stagione tale e quale come l’incipit, ovvero bollente, con temperature decisamente oltre le medie dopo la breve pausa dei giorni passati.

Alcuni indizi ci fanno però pensare che qualcosa potrebbe andare storto: cambiamento climatico non significa solo più caldo o più siccità, bensì soprattutto estremizzazione, ovvero a periodi più caldi e secchi potrebbero alternarsi fasi più piovose e fredde anche in modo eccezionale con grandinate giganti.

Ritornando a guardare gli annali meteorologici passati, troviamo che in realtà spesso a mesi di Giugno di Luglio scoppiettanti, sono seguiti dei mesi di Agosto piuttosto burrascosi….pure con le prime stufette accese, e durante i quali cui si faceva più fatica a trovare il sole tra le nuvole…ma come diciamo sempre, ce la farà dunque anche l’estate 2022, tra le luci e le tante ombre, a lasciarci un qualche ricordo, fosse solo di un vacanza, un weekend, o soltanto di una notte, una Stella?

Ovvio che sì.

Meteo Nazionale: Prime conferme in vista del primo fine settimana di Agosto

Meteo Castellammare di Stabia: sole e caldo oggi e nei prossimi giorni

Castellammare di Stabia , meteo per Giovedì 4 Agosto 2022. Giornata prevalentemente calda con cielo sereno, temperature comprese tra 23 e 37°C

Meteo Castellammare di Stabia: sole e caldo oggi e nei prossimi giorni

Dati geografici: Lat: 40.72° Lon: 14.49° Alt: 6m s.l.m.
SOLE – Sorge: 5:50, Tramonta: 20:23
LUNA – Leva: 2:36, Cala: 18:26 – Luna calante

Leggi anche:

Meteo Stabia - Previsioni Meteo Castellammare di StabiaSituazione in tempo reale Giovedì 4 Agosto: La rilevazione radar più vicina delle ore 4:50 segnala precipitazioni assenti con intensità 0 su 12.
Secondo le ultime previsioni meteo, le prossime ore saranno caratterizzate da poche nubi, con una temperatura di 23°C.
Venti deboli provenienti da Est-Nord-Est con intensità compresa tra 5 e 7km/h. Si registra assenza di precipitazioni.

Meteo Castellammare di Stabia 3 giorni

Giovedì 4 Agosto: giornata caratterizzata da soleggiamento diffuso e caldo, temperatura minima 23°C, massima 37°C.

In particolare avremo ampio soleggiamento e caldo al mattino e al pomeriggio, bel tempo alla sera.

Durante la giornata di oggi si registrerà una temperatura massima di 37°C alle ore 14, mentre la minima alle ore 6 sarà di 23°C.

I venti saranno al mattino deboli provenienti da Sud-Sud-Ovest con intensità di circa 3km/h, moderati da Ovest-Sud-Ovest al pomeriggio con intensità di circa 17km/h, deboli da Ovest-Nord-Ovest alla sera con intensità di circa 9km/h.

L’intensità solare più alta sarà alle ore 13 con un valore UV di 8.7, corrispondente a 978W/mq.

Venerdì 5 Agosto: giornata caratterizzata da bel tempo e caldo, min 22°C, max 36°C.

Nel dettaglio: sole e caldo al mattino e al pomeriggio, cielo sereno alla sera.

Durante la giornata di domani la temperatura massima verrà registrata alle ore 14 e sarà di 36°C, la minima di 22°C alle ore 6.

I venti saranno al mattino deboli provenienti da Ovest-Sud-Ovest con intensità di circa 9km/h, moderati da Ovest al pomeriggio con intensità di circa 20km/h, deboli da Ovest alla sera con intensità tra 8km/h e 13km/h.

L’intensità solare più alta sarà alle ore 13 con un valore UV di 8.6, corrispondente a 974W/mq.

Sabato 6 Agosto: giornata prevalentemente serena e afosa, temperatura minima di 24°C e massima di 36°C.

Entrando nel dettaglio, avremo ampio soleggiamento e caldo al mattino e al pomeriggio, cielo sereno alla sera.

Durante la giornata si registrerà una temperatura massima di 36°C alle ore 14, mentre la minima alle ore 2 sarà di 24°C.

I venti saranno moderati da Ovest-Sud-Ovest al mattino con intensità di circa 10km/h, moderati da Ovest al pomeriggio con intensità di circa 17km/h, deboli da Ovest alla sera con intensità di circa 5km/h.

L’intensità solare più alta sarà alle ore 13 con un valore UV di 8.5, corrispondente a 967W/mq.

Giorno Tempo T min T max Precip. Vento (km/h)
4 Agosto sole e caldo 23 °C 37 °C
10%
WSW 14 15
moderato
5 Agosto sole e caldo 22 °C 36 °C
10%
18 20
moderato
6 Agosto sole e caldo 24 °C 36 °C
10%
WSW 17
moderato

Meteo Castellammare di Stabia: sole e caldo oggi e nei prossimi giorni

Meteomar Bollettino 4 Agosto 2022: previsioni mari e venti d’Italia

Meteomar Bollettino 4 Agosto 2022: meteo mari e venti d’Italia per villeggianti, naviganti e velisti. Condizioni a Castellammare di Stabia, in Campania e su tutti i Mari

Meteomar Bollettino 4 Agosto 2022: previsioni mari e venti d’Italia

Leggi anche:

Meteomar – Ultimo Bollettino: C.O.Met. – Meteomar – Ita del Tempo sul Mediterraneo e, a seguire, per la Campania.

Situazione – Meteomar

  • Pressione livellata di 1014 hPa sul Mediterraneo centro-occidentale
  • Depressione a carattere stagionale di 1006 hPa sul Mar di Levante

AVVISI – Meteomar

TEMPORALI IN CORSO: NIL.
TEMPORALI PREVISTI: NIL.
BURRASCHE IN CORSO: NIL
BURRASCHE PREVISTE: NIL.

Bollettino mare Castellammare Di Stabia

Meteo Stabia - Previsioni Meteo Castellammare di StabiaNubi sparse con ampie schiarite, venti da SO 6.5 nodi, temperatura dell’acqua 27.7 °C, altezza dell’onda 0,2 m, mare poco mosso.
Dati geografici: Lat: 40.72° Lon: 14.49° Alt: 6m s.l.m.
SOLE – Sorge: 5:50, Tramonta: 20:23
LUNA – Leva: 2:36, Cala: 18:26 – Luna calante

Bollettino mare in Campania

Arcipelago Flegreo: Nubi sparse con ampie schiarite, venti da ONO 9.7 nodi, temperatura dell’acqua 27.8 °C, altezza dell’onda 0,3 m, mare poco mosso.

Costiera amalfitana – Piana del Sele: Nubi sparse con ampie schiarite, venti da SO 7.6 nodi, temperatura dell’acqua 27.4 °C, altezza dell’onda 0,2 m, mare poco mosso.

Litorale del Cilento: Sereno o poco nuvoloso, venti da OSO 8.6 nodi, temperatura dell’acqua 27.2 °C, altezza dell’onda 0,2 m, mare poco mosso.

Capri – Penisola Sorrentina: Nubi sparse con ampie schiarite, venti da SO 4.3 nodi, temperatura dell’acqua 27.9 °C, altezza dell’onda 0,2 m, mare poco mosso.

Golfo Salerno largo: Sereno o poco nuvoloso, venti da NO 10.3 nodi, temperatura dell’acqua 27.8 °C, altezza dell’onda 0,3 m, mare poco mosso.

Litorale settentrionale – Bonifica del Volturno: Nubi sparse con ampie schiarite, venti da OSO 8.1 nodi, temperatura dell’acqua 27.6 °C, altezza dell’onda 0,3 m, mare poco mosso.

Napoli Ovest – Campi Flegrei: Nubi sparse con ampie schiarite, venti da SSO 7.6 nodi, temperatura dell’acqua 27.5 °C, altezza dell’onda 0,2 m, mare poco mosso.

Bollettino mare – Meteomar

Mar Adriatico Settentrionale
Notte: mare calmo, vento da NNW 6 nodi
Mattina: mare calmo, vento da N 5 nodi
Pomeriggio: mare calmo, vento da E 1 nodo
Sera: mare calmo, vento da SE 3 nodi

Mar Adriatico Centrale
Notte: mare poco mosso, vento da NW 7 nodi
Mattina: mare poco mosso, vento da NW 7 nodi
Pomeriggio: mare quasi calmo, vento da NW 4 nodi
Sera: mare calmo, vento da NW 4 nodi

Mar Adriatico Meridionale
Notte: mare mosso, vento da NW 13 nodi
Mattina: mare mosso, vento da NNW 5 nodi
Pomeriggio: mare poco mosso, vento da NW 8 nodi
Sera: mare poco mosso, vento da NW 9 nodi

Mar Ionio Settentrionale
Notte: mare mosso, vento da N 11 nodi
Mattina: mare mosso, vento da NNW 12 nodi
Pomeriggio: mare poco mosso, vento da N 6 nodi
Sera: mare poco mosso, vento da NNW 5 nodi

Mar Ionio Meridionale
Notte: mare poco mosso, vento da N 9 nodi
Mattina: mare poco mosso, vento da NNE 8 nodi
Pomeriggio: mare poco mosso, vento da N 3 nodi
Sera: mare poco mosso, vento da WNW 7 nodi

Mar Ligure
Notte: mare calmo, vento da WNW 3 nodi
Mattina: mare calmo, vento da NW 2 nodi
Pomeriggio: mare calmo, vento da W 5 nodi
Sera: mare quasi calmo, vento da WSW 7 nodi

Mar di Corsica
Notte: mare poco mosso, vento da NW 3 nodi
Mattina: mare poco mosso, vento da N 1 nodo
Pomeriggio: mare quasi calmo, vento da WNW 4 nodi
Sera: mare quasi calmo, vento da WNW 3 nodi

Mar di Sardegna
Notte: mare quasi calmo, vento da NNE 4 nodi
Mattina: mare quasi calmo, vento da NE 4 nodi
Pomeriggio: mare quasi calmo, vento da NNE 5 nodi
Sera: mare quasi calmo, vento da NE 6 nodi

Mar Tirreno Settentrionale
Notte: mare calmo, vento da W 2 nodi
Mattina: mare calmo, vento da NNW 2 nodi
Pomeriggio: mare calmo, vento da SW 3 nodi
Sera: mare calmo, vento da SW 4 nodi

Mar Tirreno Centrale Settore Est
Notte: mare quasi calmo, vento da NW 6 nodi
Mattina: mare quasi calmo, vento da NNW 5 nodi
Pomeriggio: mare calmo, vento da WNW 8 nodi
Sera: mare quasi calmo, vento da WNW 7 nodi

Mar Tirreno Centrale Settore Ovest
Notte: mare quasi calmo, vento da SW 3 nodi
Mattina: mare calmo, vento da SSE 1 nodo
Pomeriggio: mare calmo, vento da S 5 nodi
Sera: mare calmo, vento da S 6 nodi

Mar Tirreno Meridionale Settore Est
Notte: mare quasi calmo, vento da W 2 nodi
Mattina: mare calmo, vento da NNW 2 nodi
Pomeriggio: mare calmo, vento da NW 3 nodi
Sera: mare calmo, vento da NNW 2 nodi

Mar Tirreno Meridionale Settore Ovest
Notte: mare quasi calmo, vento da NE 2 nodi
Mattina: mare quasi calmo, vento da NE 4 nodi
Pomeriggio: mare calmo, vento da E 3 nodi
Sera: mare calmo, vento da SE 4 nodi

Stretto di Sicilia
Notte: mare poco mosso, vento da NE 0 nodi
Mattina: mare poco mosso, vento da ESE 4 nodi
Pomeriggio: mare quasi calmo, vento da SW 2 nodi
Sera: mare quasi calmo, vento da SW 2 nodi

Canale di Sardegna
Notte: mare poco mosso, vento da E 5 nodi
Mattina: mare calmo, vento da E 8 nodi
Pomeriggio: mare poco mosso, vento da ENE 13 nodi
Sera: mare mosso, vento da E 14 nodi

Meteomar Bollettino 4 Agosto 2022: previsioni mari e venti d’Italia

Allerta Meteo, il NOAA ha lanciato un’allerta Uragani

0

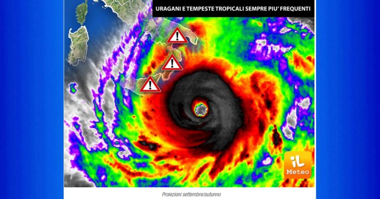
Allerta Meteo: Uragani del Mediterraneo (Medicane) sempre più anche l’Italia è a rischio. Ci sono i dati. Stavolta rischia pure l’Italia con i Medicane

Leggi anche:

Allerta Meteo, il NOAA ha lanciato un’allerta Uragani

Prima una doverosa premessa. Con il termine “Medicane” si indicano gli uragani del Mediterraneo che sempre più di frequente interessano i nostri mari.

Il termine deriva dalla fusione delle parole inglesi MEDIterranean hurriCANE, cioè “uragano mediterraneo”.

Sono caratterizzati da un “occhio del ciclone” al centro, una zona priva di nubi attorno alla quale ruotano bande di nuvolosità convettiva, con temporali e forti venti a circolazione ciclonica, dunque nel nostro emisfero in senso antiorario.

Ebbene, secondo gli ultimi aggiornamenti con le prospettive in vista del prossimo mese di Settembre ed in generale dell’Autunno ci aspetta una stagione per certi versi estrema, tanto che potremmo andare verosimilmente incontro ad un periodo caratterizzato da un serio rischio di fenomeni alluvionali.

Le cause vanno ricercate nelle particolari condizioni meteorologiche che stanno contraddistinguendo gli ultimi mesi anche sul nostro Paese.

L’estate 2022 si sta rivelando infatti davvero rovente quanto a temperature, specie in quest’ultimo scorcio stagionale durante il quale sono stati raggiunti picchi elevatissimi, fino a superare i 40°C sulle pianure del Nord, zone interne del Centro e della Puglia ed anche sulle due Isole Maggiori aggravando il problema della siccità e degli incendi su molte delle nostre regioni.

Questo caldo intenso, oltre a provocare disagio fisico per le persone, influenza anche la temperatura dei mari, con valori che si sono già portati intorno ai 28/30°C su buona parte dei bacini: stiamo parlando di un’anomalia di circa 4/5°C oltre le medie di riferimento, come possiamo vedere dalla mappa allegata.

Tutto ciò si traduce in una maggior energia potenziale in gioco, ovvero quel carburante necessario per lo sviluppo di fenomeni estremi.

Queste condizioni, per esempio, potrebbero portare sulle aree meridionali allo sviluppo di Medicane (o TLC, Tropical Like Cyclon), ossia una sorta di “uragani del mediterraneo“, che si formano quando una bassa pressione viene alimentata dalle acque calde del Mediterraneo e sviluppa caratteristiche da tempesta tropicale.

Anche se spesso hanno breve durata, i Medicane possono portare forti piogge e forti raffiche di vento fino a 120 km/h.

Detto in parole semplici i contrasti termici rischiano di estremizzarsi ancor di più:

  • da una parte abbiamo infatti le fresche ed instabili correnti in discesa dal Nord Atlantico/Europa,
  • dall’altra il caldo accumulatosi sul bacino del Mediterraneo;

il rischio quindi per il nostro Paese è quello di avere eventi meteo estremi come nubifragi e nei casi più eccezionali le così dette “alluvioni lampo” che solitamente interessano fasce ristretti di territorio (come successo a Genova nel 2011 e 2014 o alle Cinque Terre) scaricando al suolo ingenti quantità d’acqua.

Una situazione potenzialmente molto pericolosa. Nel concreto, nei prossimi mesi secondo gli ultimi aggiornamenti del centro europeo potremmo avere ancora lunghe fasi siccitose interrotte però da queste tempeste particolarmente intense.

Non solo in Italia, secondo i meteorologi del Climate Prediction Center della NOAA, il 2022 vedrà una stagione degli uragani in Atlantico molto attiva.

Si tratterebbe così della settima stagione consecutiva con allerta meteo segnata da tempeste e uragani sopra la media.

Per gli esperti ci sarà una probabilità del 65% di avere una stagione al di sopra della norma, quindi un’allerta meteo con un numero di tempeste tropicali particolarmente elevato.

L’aumento dell’attività prevista per questa stagione 2022 è causata a diversi fattori climatici, tra cui La Niña che probabilmente persisterà anche per i prossimi mese e soprattutto per le temperature della superficie del mare più calde della media nell’Oceano Atlantico e nel Mar dei Caraibi.

Un recente studio condotto dagli scienziati della Stony Brook University, del Lawrence Berkeley National Laboratory e della Pennsylvania State University, ha dimostrato che il cambiamento climatico causato dalle attività dell’uomo ha favorito un aumento delle precipitazioni orarie dovute alle tempeste tropicali fino al 10%.

Nel nuovo studio, i ricercatori sono partiti da un dato assodato: l’aumento delle temperature delle acque superficiali degli oceani, che nel 2020 a livello globale hanno superato di più di un grado quelle del periodo pre-industriale.

Le cause di questo aumento sono ormai inequivocabilmente attribuite al riscaldamento globale di origine antropica, causato cioè dai gas serra che immettiamo nell’atmosfera con l’utilizzo di combustibili fossili.

Secondo gli autori, la ricerca dimostra che l’inquinamento prodotto dalla nostra specie e il conseguente riscaldamento globale sono direttamente responsabili dell’intensificarsi dei danni provocati dagli uragani negli ultimi anni. E purtroppo, questo significa che con l’ulteriore, e ormai inevitabile, aumento delle temperature previsto per i prossimi anni, l’intensità e la frequenza degli uragani nella regione dell’Atlantico ed anche in Europa (Mediterraneo) non farà che peggiorare.

Mari molto più caldi del normale: fino a 30°C, proprio come ai TropiciMari molto più caldi del normale: fino a 30°C, proprio come ai TropiciLa Nina: acque del Pacifico più fredde del normale anche nei prossimi mesi (NOAA)La Nina: acque del Pacifico più fredde del normale anche nei prossimi mesi (NOAA)

Allerta Meteo, il NOAA ha lanciato un’allerta Uragani

Giornata Mondiale del Gufo e delle Sorelle: 4 Agosto 2022

Il 4 agosto è la Giornata Mondiale del Gufo ma, quest’anno, anche delle Sorelle che, a differenza del primo e per fortuna, non rischiano l’estinzione.

Giornata Mondiale del Gufo e delle Sorelle: 4 Agosto 2022

Il 4 agosto si celebra la Giornata mondiale del Gufo, volatile simbolo della notte, che ha poche cose che lo distinguono dalla Civetta, ma è anche la Giornata Nazionale delle sorelle: sarà per questo?

Scherzi a parte, la coincidenza è solo per quest’anno e altri futuri nei quali la giornata delle sorelle cadrà la prima domenica d’agosto che dovrà essere il 4, come quest’anno.

Ma partiamo dal Gufo se non altro perché è una specie in estinzione mentre le sorelle, per fortuna, no!

Gufo - Depositphotos_151814578_LIl gufo è un rapace facente parte della famiglia degli Strigidi (tipo di famiglia di rapaci notturni), diffuso nel Nordamerica, in Europa e in Asia, vive principalmente nei boschi e nelle foreste di conifere.

Il 4 agosto si celebra la Giornata mondiale del Gufo, volatile simbolo della notte dato che è durante le ore buie che caccia una grande varietà di piccoli animali: topi, talpe, scoiattoli, pipistrelli, ratti, uccellini e insetti.

Durante il giorno invece dorme nelle cavità degli alberi o in vecchi ruderi, perfettamente mimetizzato dal piumaggio.

Una peculiarità, che ha sempre riscosso ammirazione, è la capacità del gufo di ruotare  la testa di ben 270 gradi, sebbene sia impossibilitato a muovere gli occhi.

Tuttavia al gufo viene associata per di più un’immagine negativa, nella cultura di massa, in particolare nel registro colloquiale, esiste il termine “ gufare” come per indicare una persona che vuol portare sfortuna; a causa del suo verso cupo, la natura schiva e le abitudini notturne, i gufi vengono spesso rappresentati come creature oscure e maligne, oppure nel ruolo di “uccelli del malaugurio“.

Quindi la giornata del 4 agosto si pone l’obiettivo di far rivalutare questo splendido animale, ma soprattutto per parlare di conservazione.

Scriveva Danilo Mainardi:

“Se penso al gufo reale gli aggettivi da usare sono: maestoso, intelligente, raro. E poi bello, di quella bellezza vera, prodotta dall’evoluzione che plasma armonicamente forma e funzione. Una macchina perfetta, con vista acutissima, volo silenzioso e rapido.”

E passiamo alle Sorelle

La giornata nazionale delle sorelle cade la prima domenica d’agosto e, per questo, quest’anno coincide con quella del Gufo.

La giornata nazionale delle sorelle è il momento perfetto per celebrare il rapporto con propria sorella.

Sorelle - Depositphotos_483063502_LNon esiste un solo modo per celebrare questa festività, ma ci sono molte cose che puoi fare per rendere questo giorno assolutamente speciale.

Se convivi con tua sorella o abiti vicino a lei, organizza una giornata ricca di divertimento e di attività che ricorderete a lungo.

Se vivete in città diverse, chiamala per dirle quanto sei felice che faccia parte della tua vita.

A prescindere che si tratti di una sorella biologica, di una acquisita o persino di un’ottima amica, la giornata nazionale delle sorelle è l’occasione ideale per farla sentire amata ed apprezzata.

In occasione del Sisters’ Day una ricerca di ellemoda ci dice cosa ci unisce all’amica più speciale di sempre… ma forse tu già lo sai

Le tre parole più usate che spiccano sono:

  1. unica,
  2. testarda,
  3. solare

seguite da:

  • forte,
  • vulcanica,
  • presente,
  • leale.

Alias, le caratteristiche ad hoc per la persona che vorremmo sempre accanto.

Per il 70% delle donne non ci sono dubbi

Una sorella è una parte di sé a cui è impossibile rinunciare, ma anche l’alleata perfetta per sopravvivere alla famiglia quando i genitori diventano pesanti (fastidiosi interrogatori, anyone?) o la situazione si fa dura durante i pranzi di Natale, tanto per fare gli esempi più comuni.

Il 72% del campione intervistato trova fondamentale la possibilità di poter contare su una “socia” vera e sincera che aiuti ad affrontare la vita.

Una lite con una persona così speciale?

È lo scenario più temuto in assoluto: il suo silenzio potrebbe farci disperare più che se ci rubasse il fidanzato.

Cos’è e cosa significa la sorellanza? Sempre su ellemoda scrivono:

Le donne interpellate hanno un’idea molto chiara di cosa significhi sorellanza: è il risultato di un mix di affinità elettive che coinvolgono cuore e cervello, di sentimenti forti e di strategie di sopravvivenza alla quotidianità.

Quasi sempre nasce all’interno della famiglia, quando si cresce insieme l’una al fianco dell’altra, ma altrettanto spesso supera qualsiasi legame di sangue per includere amiche così speciali da diventare inseparabili compagne di vita con cui condividere ogni istante, che sia di persona davanti a un bicchiere di vino o su WhatsApp con lunghissimi messaggi vocali.

È quell’amore profondo e sincero che ci fa correre a consolarla quando una sorella ha bisogno, che ci tiene sveglie nel cuore della notte per parlare con lei, che ci fa attraversare il mondo per vederla anche solo per poche ore

Questo, sia ben inteso, è detto “tra sorelle”, ma anche per i maschietti le sorelle non sono una parte trascurabile della loro vita per cui, domani, ricordatevene anche voi.

Giornata Mondiale del Gufo e delle Sorelle: 4 Agosto 2022

Vaiolo delle scimmie: Cosa sapere. Situazione in Italia 

Il Ministero della Salute ha attivato un Sistema di sorveglianza con Regioni e Province autonome sui casi di vaiolo delle scimmie e pubblica un bollettino ogni martedì e venerdì. Il primo caso in Italia è stato confermato il 20 maggio 2022.

Vaiolo delle scimmie: Cosa sapere. Situazione in Italia 

L’Organizzazione mondiale della sanità ha dichiarato il 23 luglio 2022 il vaiolo delle scimmie (Monkeypox) “emergenza sanitaria globale” e formulato una serie di raccomandazioni.  In Italia, i casi mostrano tendenza alla stabilizzazione, la situazione è sotto costante monitoraggio, e non si ritiene debba destare particolari allarmismi, come sottolineato da Gianni Rezza, direttore generale della Prevenzione sanitaria nel comunicato del 23 luglio.

Bollettino di MARTEDI’ 02 AGOSTO 2022

DATI NAZIONALI
Casi confermati 505
Incremento rispetto all’ultima rilevazione 26
Casi collegati a viaggi all’estero 149
Età mediana in anni (range) 37 (20-71)
Genere 501 M; 4F
DATI REGIONALI
Regioni Casi confermati Incremento rispetto all’ultima rilevazione
Basilicata 0 0
Calabria 0 0
Campania 7 1
Emilia – Romagna 57 2
Friuli – Venezia Giulia 9 0
Lazio 104 3
Liguria 9 1
Lombardia 232 16
Marche 2 0
Molise 0 0
Piemonte 18 0
Puglia 9 1
Sardegna 1 1
Sicilia 2 0
Toscana 17 1
PA. Bolzano 1 0
PA. Trento 3 0
Umbria 0 0
Valle d’Aosta 0 0
Veneto 33 0

Visualizza i bollettini in archivio

Punti chiave

  • I sintomi del vaiolo delle scimmie comprendono di solito: febbre, intenso mal di testa, dolori muscolari, mal di schiena e astenia.
  • I segni più frequenti sono: linfonodi ingrossati ed eruzioni o lesioni cutanee.
  • L’eruzione cutanea di solito inizia entro tre giorni dalla comparsa della febbre. Le lesioni possono essere piatte o leggermente rialzate, piene di liquido limpido o giallastro, possono formare croste, seccarsi e cadere. L’eruzione cutanea tende a concentrarsi sul viso, sul palmo delle mani e sulla pianta dei piedi. Può anche essere riscontrata sulla bocca, sulla zona perigenitale e sugli occhi.
  • I sintomi in genere durano da 2 a 4 settimane e scompaiono da soli senza trattamento.
  • Il virus si trasmette attraverso un contatto stretto con un caso sintomatico. L’eruzione cutanea, i fluidi corporei (come liquido, pus o sangue da lesioni cutanee) e le croste sono particolarmente infettivi.
  • Ulcere, lesioni o piaghe della bocca possono essere infettive e il virus può diffondersi attraverso la saliva o attraverso droplet (goccioline respiratorie) in caso di contatto prolungato faccia a faccia (a maggior rischio gli operatori sanitari, i membri della stessa  famiglia e altri contatti stretti dei casi confermati).
  • Il vaiolo delle scimmie può essere trasmesso anche con contatto diretto tra le lesioni durante le attività sessuali.
  • Anche indumenti, lenzuola, asciugamani o stoviglie contaminati dal virus di una persona infetta possono contagiare altre persone.
  • Al fine di proteggere se stessi e gli altri, la Circolare del 25 maggio 2022 del Ministero della Salute prevede che i casi confermati e sospetti di MPX si mettano in autoisolamento.
  • Chiunque abbia sintomi riferiti al vaiolo delle scimmie deve contattare immediatamente il proprio medico.

Consulta

  • Circolare 2 agosto 2022 – Focolaio di vaiolo delle scimmie in paesi non endemici: aggiornamenti sulla definizione di caso, segnalazione, tracciamento dei contatti e gestione dei casi. Note tecniche per la diagnosi di laboratorio
  • Circolare 5 luglio 2022 – Vaiolo delle scimmie. Focolai in più Paesi – aggiornamento 27 giugno 2022
  • Circolare 25 maggio 2022 – Casi di vaiolo delle scimmie. Aggiornamento sulla situazione epidemiologica e indicazioni per la segnalazione, il tracciamento dei contatti e la gestione dei casi
  • Eventi epidemici all’estero

Vedi anche

Fonte: Ministero della Salute, ultimo aggiornamento 2 agosto 2022

Corsi lauree magistrali professioni sanitarie: 3244 posti a disposizione

Novità su Corsi lauree magistrali Infermieri, Ostetriche e Professioni Sanitarie: 3244 posti a disposizione, anche se provvisori.

LEGGI ANCHE:

Corsi lauree magistrali professioni sanitarie: 3244 posti a disposizione

Il Ministero dell’Università e della Ricerca ha reso noto con apposito decreto “Posti provvisori per l’accesso ai corsi delle lauree magistrali delle professioni sanitarie a.a. 2022/2023 per i candidati dei paesi UE e non UE residenti in Italia“.

Si tratta di 3244 unità così suddivisi.

Il Ministero dell’Università e della Ricerca ha ufficializzato i posti per i Corsi di Laurea Magistrale delle Professioni Sanitarie (LM/SNT1, LM/SNT2, LM/SNT3 e LM/SNT4).

Dal Report di Angelo Mastrillo (che trovate qui in basso) si evidenzia che per gli Infermieri, gli Infermieri Pediatrici e le Ostetriche i posti maggiori sono stati attributi alle Università di Roma Tor Vergata, Messina, Napoli Federico II, Novara, Napoli Campania, Roma Tor Vergata, Roma Cattolica, Verona, Chieti, Bologna, Ferrara, Ancona e Catanzaro.

Ecco lo specchietto riassuntivo:

Dal Report realizzato quest’anno da Angelo Mastrillo, Docente Università di Bologna e consulente FNOPI emerge che:
Tabella tratta dal report Mastrillo 2022.
Tabella tratta dal report Mastrillo 2022.
I documenti resi noti dal MUR.

Atto normativo.

Ministero dell’interno: concorsi per 98 arruolamenti in Polizia

Ministero dell’interno: i concorsi in scadenza per per 98 arruolamenti nella Polizia di Stato (è necessario lo SPID).  Scadenza di presentazione delle domande: 7 agosto 2022

LEGGI anche:

Ministero dell’interno: concorsi per 98 arruolamenti in Polizia

Nella Gazzetta Ufficiale della Repubblica – 4ª serie speciale, concorsi ed esami n. 54 del 8 luglio 2022 sono stati pubblicati 4 nuovi concorsi pubblici per la copertura dei seguenti posti:

  • ventiquattro (24) posti di vice ispettore tecnico del ruolo degli ispettori tecnici della Polizia di Stato nel settore di impiego equipaggiamento;
  • dodici (12) posti di vice ispettori tecnici del ruolo degli ispettori tecnici della polizia di Stato del settore di impiego psicologia;
  • dodici (12) posti di vice ispettore tecnico del ruolo degli ispettori tecnici della Polizia di Stato nel settore di impiego polizia scientifica;
  • cinquanta (50) posti di vice ispettore tecnico del ruolo degli ispettori tecnici della Polizia di Stato nel settore motorizzazione.

Possono partecipare alle selezioni coloro che sono in possesso di titoli di studio che se, diplomi di laurea laurea magistrale o titoli equiparati o equipollenti, devono essere conseguiti presso una Università della Repubblica italiana o un Istituto d’istruzione universitaria equiparato.

Le domande di partecipazione ai singoli concorsi devono essere compilate e trasmesse utilizzando esclusivamente la procedura informatica disponibile all’indirizzo https://concorsionline.poliziadistato.it (dove si dovrà cliccare sull’icona «Concorso pubblico»).

A quest’ultima procedura informatica, il candidato potrà accedere attraverso i seguenti strumenti di autenticazione:

  1.  sistema pubblico di identità digitale (SPID), con le relative credenziali (username e password), che dovrà previamente ottenere rivolgendosi a uno degli identity provider accreditati presso l’Agenzia per l’Italia digitale (A.G.I.D.), come da informazioni presenti sul sito istituzionale www.spid.gov.it

b.    sistema di identificazione digitale «Entra con CIE» con l’impiego della CIE (Carta di identità elettronica), rilasciata dal Comune di residenza.

Il concorso si articola nelle seguenti fasi:
a)    prova preselettiva, qualora sia disposta (nel caso in cui il numero delle domande di partecipazione sia complessivamente superiore alle 5.000);
b)    accertamenti psico-fisici;
c)    accertamento attitudinale;
d)    prova scritta;
e)    valutazione dei titoli dei candidati che abbiano superato le prove precedenti;
f)    prova orale.

Link ai bandi:
https://www.gazzettaufficiale.it/atto/concorsi/caricaDettaglioAtto/originario?atto.dataPubblicazioneGazzetta=2022-07-08&atto.codiceRedazionale=22E08752

https://www.gazzettaufficiale.it/atto/concorsi/caricaDettaglioAtto/originario?atto.dataPubblicazioneGazzetta=2022-07-08&atto.codiceRedazionale=22E08753

https://www.gazzettaufficiale.it/atto/concorsi/caricaDettaglioAtto/originario?atto.dataPubblicazioneGazzetta=2022-07-08&atto.codiceRedazionale=22E08754

https://www.gazzettaufficiale.it/atto/concorsi/caricaDettaglioAtto/originario?atto.dataPubblicazioneGazzetta=2022-07-08&atto.codiceRedazionale=22E08755

 

Concorso per 4189 allievi carabinieri in ferma quadriennale

LAVORO – Nella Gazzetta Ufficiale della Repubblica – 4ª serie speciale, concorsi ed esami n. 55 del 12 luglio 2022 è stato pubblicato un nuovo concorso pubblico, per esami e titoli, per il reclutamento di quattromilacentottantanove allievi carabinieri in ferma quadriennale.
Scadenza di presentazione della domanda: 11 agosto 2022

LEGGI anche:

Concorso per 4189 allievi carabinieri in ferma quadriennale: necessario lo SPID per iscriversi

I 4189 posti a concorso sono così ripartiti:

a) 2910 riservati, ai sensi dell’art. 703 del decreto legislativo 15 marzo 2010, n. 66, ai volontari in ferma prefissata di un anno(VFP1) e ai volontari in ferma prefissata quadriennale(VFP4), in servizio;

b) 1.247 riservati, ai sensi degli articoli 703, 706 e 707, del decreto legislativo 15 marzo 2010, n. 66, ai cittadini italiani che non abbiano superato il ventiseiesimo anno di età; il limite massimo d’età è elevato a ventotto anni per coloro che abbiano già prestato servizio militare;

c) 32 (di cui 22 tratti dai VFP e 10 tratti dai civili) riservati, ai sensi del decreto legislativo 21 gennaio 2011, n. 11, ai candidati in possesso dell’attestato di bilinguismo di cui all’art. 4 del decreto del Presidente della Repubblica 26 luglio 1976, n. 752 e successive modificazioni.

La domanda di partecipazione al concorso deve essere presentata esclusivamente on-line, avvalendosi della procedura disponibile nell’area concorsi del sito ufficiale dell’Arma dei carabinieri (www.carabinieri.it).

Per poter presentare la domanda di partecipazione è necessario, munirsi per tempo di uno tra i seguenti strumenti di identificazione:

a.    credenziali SPID (Sistema Pubblico di Identità Digitale) con livello di sicurezza 2 che consentano l’accesso ai servizi on-line della pubblica amministrazione attraverso l’utilizzo di nome utente, password e la generazione di un codice temporaneo (one time password).

Le istruzioni per il rilascio di SPID sono disponibili sul sito ufficiale dell’Agenzia per l’Italia Digitale (AgID) all’indirizzo www.spid.gov.it;

b.    idoneo lettore di smart-card installato nel computer per l’utilizzo con carta nazionale dei servizi (CNS) precedentemente attivata presso gli sportelli pubblici preposti, i quali provvedono a rilasciare un PIN.

Lo svolgimento del concorso prevede l’effettuazione di:
a.    prova scritta di selezione;
b.    prova di efficienza fisica;
c.    accertamenti psicofisici per la verifica dell’idoneità psicofisica;
d.    accertamenti attitudinali;
e.    valutazione dei titoli.

I candidati giudicati idonei al termine di tutte le prove saranno iscritti in quattro distinte graduatorie finali di merito, le quali saranno formalizzate non appena terminato ciascun iter concorsuale.

Le graduatorie, una per ciascuna delle categorie indicate, saranno formate sommando al punteggio conseguito nella prova scritta di selezione gli incrementi previsti per la prova di efficienza fisica, gli accertamenti psicofisici, la mancanza di tatuaggi e per la valutazione dei titoli.

Concorso per 4189 allievi carabinieri in ferma quadriennale